山の手5条2丁目 土地
【都心の喧騒を離れ、静穏な暮らしを】~札幌・山の手~
登録日/2025年10月07日 更新日/2026年04月14日 次回更新予定日/随時
お問い合わせ番号/ 653
土地
2,480万円
(価格改定日:2025-11-17)
北海道札幌市西区山の手五条2丁目- 建物構造/階建
- 木造/-
- 最寄駅
-
- 札幌市東西線
- 琴似駅徒歩14分
- 函館本線
- 琴似駅徒歩19分
- 札幌市東西線
- 発寒南駅徒歩15分
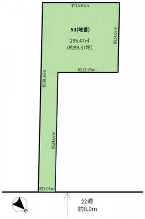
- 土地面積/坪数
- 295.47m2 / 89.37坪
オススメ
この物件の主な特徴
平坦地 閑静な住宅地 都市近郊 市街地が近い 土地広さ 50坪以上 前道6m以上 駅まで平坦 2沿線以上利用可 電気 上水道 公営 汚水 下水道 ガス 都市ガス 周辺交通量少なめ 整備された歩道 スーパー 徒歩10分以内 小学校 徒歩10分以内 建築条件なし 更地渡し IT重説対応物件 ※設備名をクリックで対象の設備の物件一覧を絞り込みローンシミュレーション
- 物件価格
- 2,480万円
- 金利
- 返済期間
-
年
※物件によってはローン年数が変わる場合がございます。
- 頭金
-
万円
※半角数字でご入力ください。
- ボーナス併用支払い
-
併用する
2480.00万円のうちボーナス返済分
万円
※半角数字でご入力ください。
- 月割返済額
- ボーナス支払い額
(年2回) - 坪単価
- 27.70万円
- 学校区
-
- 小学校区
- 山の手小学校 距離:500m
- 中学校区
- 琴似中学校 距離:300m
- 公共設備
-
- ガス
- 都市ガス引込済
- 水道
- 公営水道
- 汚水
- 公共下水
- 雑排水
- 公共下水
- 接道状況 他
-
- 向
- 一方
- 角地
- -
- 公道
- 北東
- 幅員
- 8.00m
- 接面
- -
- 私道
-
- 私道
- -
- 持分
- -
- 面積(区分)
- -
- 面積
- -
- 面積(単位)
- -
- セットバック面積
-
- 状態
- -
- 幅
- -
- 面積
- -
- 借地期間・地代
-
- 借地機関条件
- -
- 借地権契約期間
- -
- 借地権満了日
- -
- 地代
- -
- 建築条件
- なし
- 土地現況
- 上物有
- 引渡条件
- 更地渡し
- 引渡時期
- 相談
--- - 地目
- 宅地
- 地勢
- 平坦
- 用途地域
- 第一種中高層住居専用地域
- - 建ぺい/容積率
- 60%/200%
- 都市計画
- 市街化区域
- 建築許可理由
- -
- 土地権利
-
- 権利
- 所有権
- 備考
- -
- 再建築
- -
- 国土法届出
- 不要
- その他制限事項
- 高度地区;緑地保全地区;景観法;宅地造成工事規制区域
備考:- - フラット利用
- -
- 手付金保証
- -
- 町会費
- --
- リボーン21
- -
- 備考
- -
- 取引態様
- 仲介
※金利につきましては各金融機関の審査金利及び融資金利により異なります。
実際の返済額は結果と異なりますので、資産計画の目安としてご利用ください。
詳しいお問い合わせは、こちらよりご相談ください。
(公社)全日本不動産協会 (株)センチュリー21・ジャパン (一社)北海道中小企業家同友会 (公社)札幌北法人会 札幌商工会議所
























